Von Hamburg direkt auf die Kapverden - So sind wir am 11.12. dem Winter kurz mal entflohen.
Sal ist eine sehr kleine und sehr karge Insel.
Auf dem Hinflug gab es eine kurze Zwischenlandung auf Buavista - dort stiegen einige aus und Rückreisende wieder ein. 10 Minuten später waren wir auf Sal
Hier vier Bilder, die Okke vom Landeanflug gemacht hat.
Man erkennt Santa Maria, den Touristenort wo wir waren.
Unser Hotel das Hotel Oasis Atlantico Belorizonte - ist auf dem Bild 7199 - das dritte - zu erahnen - es ist in etwas der Mitte des Bildes, dort , wo am Strand das erste Gebäude steht
Insel Sal Kapverden
-
- Reisebericht
-
Heike -
14. Dezember 2012 um 20:30
-
-
Für die Einreise braucht man ein Visum, das wir aber nicht selber beantragen mussten, sondern das hat TUI, mit denen wir gereist sind gemacht.
An dieser Stelle der Hinweis, dass wir die Reise mithilfe der Reisewelt Rosenheim gebucht haben und in allen Dingen sehr gutbetreut wurden:
http://www.facebook.com/pages/Reiseb%C…170481579647497Auch der Transfer zum Hotel war dementsprechend organisiert und verlief problemlos.
Man fährt vom Flughafen auf einer Autobahn nach Santa Maria - gelegentlich sah man auch mal ein anderes Auto,aber Verkehrsprobleme haben die auf Sal nun beim besten Willen nicht.
Nach ca. 20 Minuten ware wir beim Hotel
Das Hotel hat an der Straße ein Haus mit Zimmern und ansonsten lauter Bungalows, in denen sich Zimmer mit eigenen Eingängen und kleiner Terasse befinden
Wir haben Zimmer 607 - an der AUßenseite, wo die Bungalows nicht zu eng stehen, weit genug vom Restaurant und Schwimmingpool entfernt und dicht zum Strand. AUf bild 2 schaue ich um die Ecke des Bungalows und man sieht hinten das Wasser -
Hier Bilder von unserem Zimmer.
Der Raum ist klein und einfach eingerichtet - die Betten hatten die besten Matrazen die ich wohl je auf einer Urlaubsreise erlebt habe -und auch das für Okke war ausreichend lang -
Im Bad sieht man, dass das Hotel nicht gerade neu erbaut wurde. Aber alles ist sauber. Das Wasser im Bad war manchmal etwas schwach auf der Brust und oft nur lauwarm -aber wir sind in Afrika und nicht in Europa.
Toll finde ich einen großen Schrankraum - rechts Stange zum Hängen, links Regale, gerade zu zwei große weitere Regale - am letzten Tag kam mir die Erkenntnis, dass da ein Doppelbett für Kinder untergebracht ist.... Für uns war einfach alles Schrank.
Das Waschbecken liegt außerhalb des sonstigen Badeszimmers und vor dem Schrankraum
Es gibt einen kleinen Kühlschrank, in dem Wasser steht -und jeden Tag bekommt man eine Wasserschflasche 1,5l ins Zimmer geliefert. Es gibt eine Klimaanlage und einen Minifernseher, auf dem sogar ZDF empfangen werden konnte.
Beim Einchecken mussten wir 30 Euro Kaution hinterlegen und bekamen Fernbedienung für Klimaanlage, Fernseher und Handtücher für den Strand, die man beliebig frisch umtauschen kann. -
Wir sind so rechtzeitig angekommen, dass wir noch etwas zum Essen bekommen.
Es gibt mehrere Restaurants, mit Buffett und eines auch a la carte -dafür bekommt man am Anreisetageinen Gutschein und muss sich dann dort einen Tag vorher anmelden. Wirhaben drauf verzichtet und sind beim Buffetrestaurant geblieben.
Frühstück gibt es von 7-10 Uhr, Mittag von 12- 15 Uhr, Abendessen von 18.30-22 Uhr.
Auf das Essen komme ich später noch einmal zu sprechen.
Ansonsten hat die Anlage 3 Schwimmingspools, etliches an Animation, wenn man will
Hier noch ein paar Bilder von der Anlage -
Nach dem Essen erkunden wir erst einmal den Strand.
Am Strand gibt es jede Menge liegen - allerdings die meisten in einem furchtbaren Zustand.Neue sind bestellt, heißt es...
Der Strand ist breit.
Und es gibt ein Kaffee am Strand, wo man ebenfalls all inklusive Getränke bekommt. Snacks sind dort nicht mit inklusie - es ist aber auch nicht notwendig dort etwas zu essen
Auf Bild 2 sieht man im Hintergrund die Häuser von Santa Maira - es ist also wirklich nicht weit -
Es war früh heute morgen und wir sind ko - viel unternehmen wir nicht mehr - auspacken, die Anlage anschauen, essen,schlafen
Mittwoch 12.12.
Die Sonne scheint, es ist 26Grad warm, es weht ein kräftiger Wind
Jan ist schon um 6Uhr aufgestanden um Bilder vom Sonnenaufgang zu machen.
So richtig zufrieden ist er mit dem Ergebnis nicht und will es wiederholen... das hat er dann aber nie wieder geschafft -
Das Frühstücksbuffet ist bombastisch: Es gibt gekochte Eier, Spiegelei, Rührei, Omlette und Pfannkuchen.Diverse kleine Brötchen, Quark, Joguert, Tomaten Gurken etc., Hamburger, Bohnen in Tomatensoße, Obst diverses, Cornflakes etc..... ich kann hier gar nicht alles aufzählen.
Nach dem Essen gehen wir Richtung Santa Maria, ca. 10 Minuten
In Santa Maria gibt es viele kleine Lädchen, in denen man Postkarten und allerlei afrikanisches kaufen kann. Inhaber sind meist Sengalesen und die Verhandlungsspanne ist groß. Und dann gibt es auch kapverdische Läden, die Sachen verkaufen, die auf den Kaverden gemacht sind und da ist nichts zu verhandeln.
Die Sengalesen nerven schon etwas mit ihrer bitte, doch ihre Läden anzuschauen... -
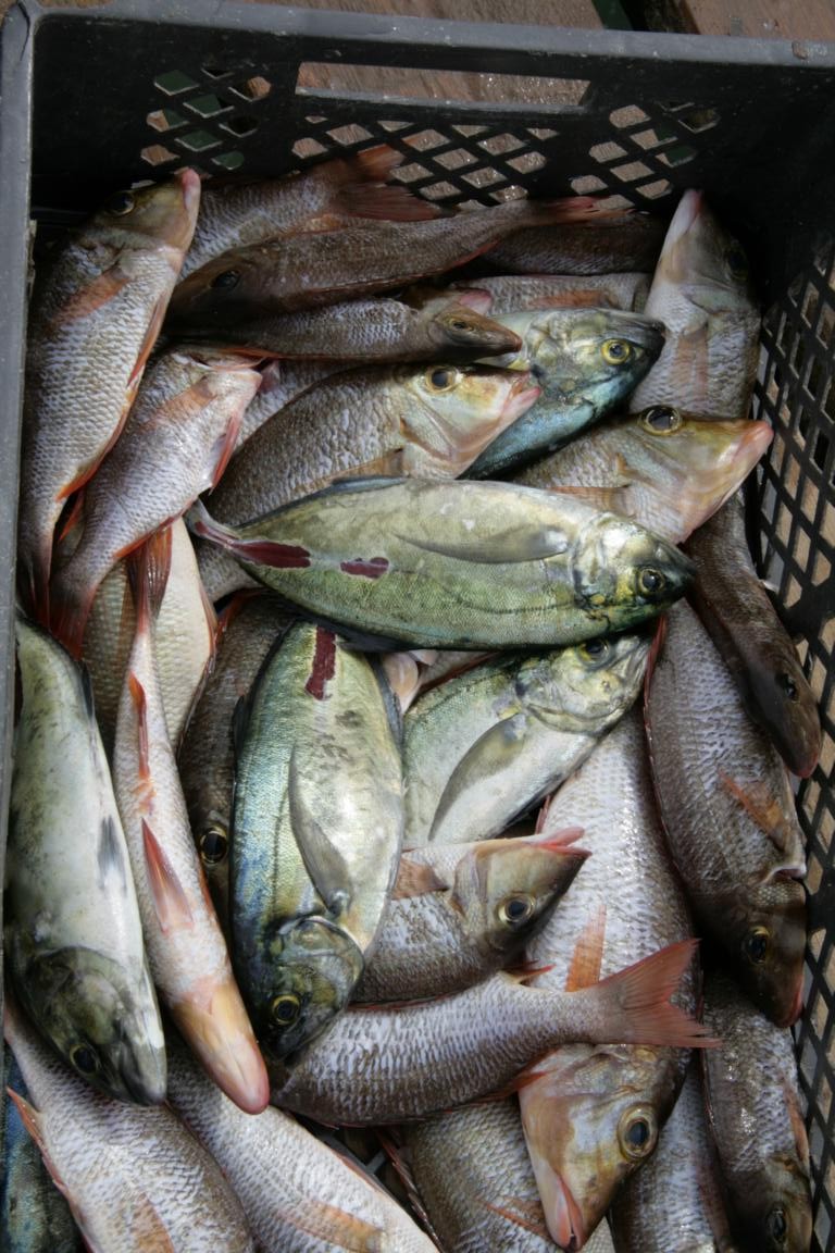
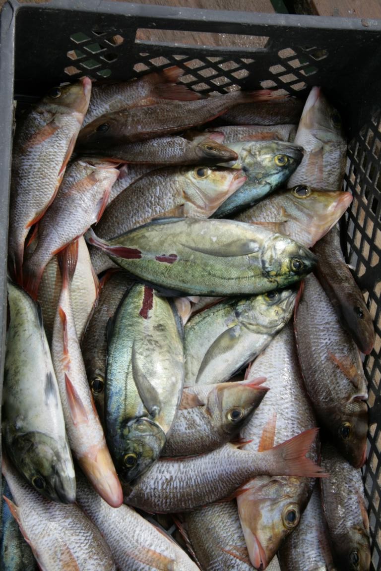
Es gibt einen Landungssteg, an dem die Fischerboote anlanden.
Im alten Hafenbecken ist jetzt eine Hotelanlage - die hat uns auch gefallen -
Am Landungsteg ist viel los
-
Boote anlanden haben wir diesmal keine gesehen
Rechts und links des Steges Sandstrand
Das 4. Bild ist von Jan -
Aber am Strand liegen Boote
-
Den Rest des Tages verbringen wir gemütlich am Strand.
Am Donnerstag sind wir getrennt unterwegs.
Jan will noch einmal zum Steg ... hier seine Bilder -
Und noch mehr Bilder von Jan vom Steg
-
Und noch mehr Bilder vom Treiben der Fischer von Jan
-
Und ich habe in der Zwischenzeit mir Santa Maria näher angeschaut
Zu diesem Zwecke bin ich nicht den Strandweg nach Santa Maria gegangen, sondern die Straße entlang -diese ist schon breit ausgebaut und man merkt,dass hier noch viel geplant ist.Auch neben unserem Hotel wird ein neues Hotel gebaut.
Am Eingang ist man dabei einen Tannenbaum aus Plastikflaschen zu errichten - ehrlich:Ich habe das in diesem Stadium nicht erkannt, sondern mich nur gewundert
Santa Maria ist nicht aufregend. Eher eigenartig: es gibt große, bunt gestrichene ordentliche Häuser, etliche im Bau und viel freien Raum zwischendurch -
Die Farben der Häuser erinnern mich an die Karibik
-
Danach suche ich Okke und Jan-natürlich beim Steg
-
Am Steg finden sich immer viele interessante Motive zum Fotografieren
-
Bild 1 ist was für unsere Schildiecke
Dann geht es zurück zum Hotel und an den Strand .... HERRLICH! Sonne auf den Bauch und lesen, lesen lesen
-
Bild 1: So sieht es dann am Strand aus
Und Blick vom Strand auf Santa Maria -Der Tage endet wie gestern: Sonnen, schwimmen (es ist wellig und 24 Grad Wassertemperatur) essen und natürlich ein paar Absacker: Sex in the beach usw -natürlich nicht zuviel davonAm Freitag laufen Okke und ich nocheinmal die Straße Richtung Santa Maria - schräg vor dem Hotel Salinen - leider nicht gepflegt
-
Jetzt mitmachen!
Du hast noch kein Benutzerkonto auf unserer Seite? Registriere dich kostenlos und nimm an unserer Community teil!